Witamy na naszym blogu. Zachęcamy do czytania!

JAK NAUCZYĆ SZCZENIAKA PRZEBYWANIA W KLATCE KENNELOWEJ
How to teach a puppy to stay in a kennel crate


Jak nie przestraszyć szczeniaka klatką i zachęcić go do przebywania w niej.


JAKIE BADANIA POWINNI MIEĆ RODZICE TWOJEGO PRZYSZŁEGO HISZPANKA
What medical records parents of your future SDW should have


Absolutny MUST READ dla osób zainteresowanych nabyciem Hiszpanka.


PRODUKTY ZAKAZANE
Forbidden products


czyli czego twojemu psu jeść nie wolno


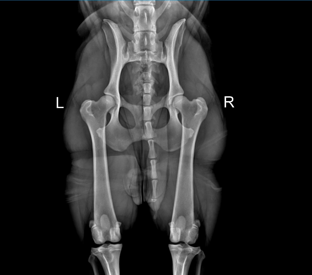
O DYSPLAZJI, CZYLI GENETYKA ILOŚCIOWA
"Dysplasia the quantitative genetics"


Artykuł skupiający się na problemie dysplazji u psów.


LĘK SEPARACYJNY
Separation anxiety


... czyli jak pomóc psiakowi gdy za bardzo za nami tęskni.


Z PAMIĘTNIKA HODOWCY: CIĄŻA CHILLI
Chilli's pregnancy diary


Ciąża u suni to najbardziej fascynujący okres dla hodowcy!